
I didn’t plan for this adventure at all. In fact, the whole trip started because I woke up late. My original plan was to spend the afternoon at Sai Wan Campsite in Sai Kung Country Park—one of my favourite spots for its long sandy beach, rugged coastline, and that signature remote‑vibe you only get after a long hike. Sai Wan is surrounded by some of Hong Kong’s most beautiful natural features: rolling hills, volcanic rock formations, and the iconic Sheung Luk Stream with its waterfalls and pools.
But with the late start, the plan changed. So instead of heading to the far edges of Sai Kung, I grabbed my backpack, my fishing gear, and rerouted myself to Shing Mun Reservoir for a quiet solo fishing day.




From Sai Wan to Shing Mun — A Last‑Minute Change of Plan
For those who haven’t visited Sai Wan Campsite, it’s located inside the vast Sai Kung East Country Park (check out the route suggestion to this campsite). The area is famous for:
Long beaches with soft white sand
Crystal‑clear turquoise water
Volcanic rock formations
The scenic Sheung Luk Stream and waterfalls
A peaceful camping environment far from the city
But since I started the day late, I headed to Shing Mun Country Park instead — easier to reach, still full of nature, and perfect for a relaxed ecotour day.

Arriving at Shing Mun — and a Familiar Face
The moment I stepped into Shing Mun Country Park, I was greeted by one of the most well‑known residents of the area: the Rhesus Macaque (Macaca mulatta). They’re everywhere around this reservoir, often wandering in small groups or casually sitting by the roadside like they own the place.
These monkeys are certainly not shy. Over the years, people have been feeding them—even though it’s illegal—and the result is a population of monkeys who are very used to humans, sometimes a bit too confident. Some have even learned to snatch food from hikers, especially anything that looks like it’s in a plastic bag.
So here’s a quick reminder for anyone visiting Shing Mun:

- Keep your food hidden in your backpack.
- Don’t carry plastic bags in your hand.
- Maintain distance and avoid eye contact.
- Never feed them—interrupting their diet changes their natural behaviour and can make them more aggressive.
- Stay calm and move slowly
Wildlife encounters can be memorable, but respecting their natural space is the line we should never cross.

Stepping Onto the Trail — The Red‑Base Jezebel
Once I got onto the forest trail, I quickly spotted another beautiful resident of the park—the Red‑Base Jezebel (Delias pasithoe). This butterfly is always a delight to see, with its bright red patches and clean white wings contrasting against the green forest canopy.
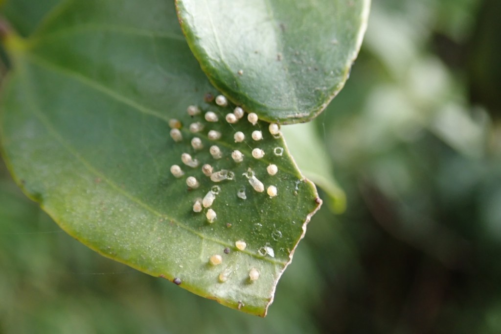
But this trip turned special because I didn’t only see the adult butterfly. I accidentally stumbled upon several stages of its life cycle along the trail—larvae, pupae, and even eggs on the leaves. It felt like a mini discovery, a full ecological storyline happening right in front of me.
This colourful species is already a joy to see, but the day got even better:








- Egg clusters on leaves
- Caterpillars were invaded by a parasitic wasp
- Pupae hanging under leaves
- And finally, the adult butterfly
Finding all stages in one trip felt like discovering a living nature documentary. This is exactly why Hong Kong is such an underrated ecotourism destination — wildlife thrives even on accessible trails.
Moments like these really remind me what ecotourism is about—not rushing to the destination, but slowing down and paying attention to the living world around you.
Fishing at the Reservoir — Peaceful, Quiet, and Slow

After the mini wildlife adventure, I finally settled down at the reservoir to do what I originally came for: fishing!!!
But honestly, the results didn’t matter that much. What mattered was the ambience: the still water, the cool shade from the trees, the occasional splash of a fish breaking the surface, the solitude…





Fishing alone in such calm surroundings felt like a blessing—a reset button for the mind. The goal wasn’t to catch the biggest fish — it was simply to enjoy the process.
Ending the Day — A Surprise Encounter at Sunset

As the sunlight started to fade and the golden hour settled in, the forest around the reservoir changed completely. Birds became more active, calling from the canopy and hopping across the forest floor.
One of the most iconic sights in Shing Mun Country Park is its stunning corridor of paper bark trees (Melaleuca quinquenervia). These tall, white‑barked trees line the edges of the reservoir and create an almost otherworldly landscape, especially on calm days when their pale trunks reflect perfectly off the still water. Originally introduced during Hong Kong’s post‑war reforestation efforts, the species is known for its incredible resilience — able to withstand drought, floods, and even fire. Today, the Paperbark Tree Corridor and nearby grove have become some of the park’s most photographed locations, beloved by hikers, nature lovers, and wedding photographers alike for their twisted roots, peeling papery bark, and serene atmosphere.




That’s when I spotted something special: a Common Emerald Dove (Chalcophaps indica). This species is actually quite common, but not easy to see because it’s shy and usually stays hidden deep in the undergrowth. At sunset though, it stepped out just long enough for me to admire its beautiful green wings shimmering in the fading light.


And funny enough, just as I was leaving the park, the Rhesus Macaques appeared again—almost like they were saying goodbye. Full circle from the beginning of the day.
It was the perfect peaceful ending to the day…
Until I met the Rhesus Macaques again at the exit — bookending my trip with a funny full-circle moment.



A Great Day Trip Out!!
This wasn’t the adventure I planned, but it turned into an unforgettable one. From the lively monkeys at the entrance, to discovering the full butterfly life cycle, to the quiet satisfaction of fishing alone, Shing Mun Reservoir offered everything an ecotourism experience should be—nature, wildlife, and a reminder to slow down.
Sometimes the best adventures are the unplanned ones.
Sometimes waking up late is the start of a great story.
How to get there
Getting to Shing Mun Country Park is easy and convenient. The most direct route is to hop on Green Minibus No. 82 from Tsuen Wan (Shiu Wo Street), which brings you straight to the Shing Mun Reservoir area. From the drop‑off point, follow the signs leading towards Pineapple Dam and the nearby trail entrances.
A glance at the route of my fishing Trip:

















What else is in Shing Mun Country Park?
The Shing Mun War Relics Trail offers a compelling glimpse into Hong Kong’s wartime past, guiding visitors through bunkers, tunnels, trenches, and other surviving structures from the Gin Drinker’s Line, a British defensive system built in the late 1930s to protect Kowloon and the New Territories. Along the trail, you’ll encounter the Shing Mun Redoubt, once the command centre of this defensive line and a key site during the opening moments of the Japanese invasion in December 1941. Walking through these historical remains today provides an eye‑opening look at the strategies, hardships, and dramatic events that unfolded on this quiet ridge decades ago. Check out my other post for Shing Mun WWII Relics.
